조황관리HOME / 조황관리 / 상세정보

제목 : [거제블루]참돔 타이라바 오후물때 우당탕탕!!! 내일 황제낚시하실분~~
등록일 : 2026-03-15
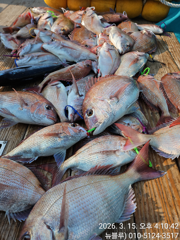
거제블루 참돔 타이라바 조황입니다

이번물때는 조류가 약한 물때인가봅니다

오전내내 조류흐름이 약해 고전하다가
 
오후시간에 조류흐름이 원활해지면서 여기저기 우당탕탕

우당탕탕과 주춤을 반복하면서 올라와주어

그나마 체면치레는하고 철수길에 올랐습니다

내일부터는 완전히 살아나는물때라 기대감을갖고

소수인원으로도 무조건 출항합니다

내일 황제낚시하실분 서둘러 연락주세요~~^^

함께 출동하실분//쏨벵이 튀김에 손맛 입맛 즐기러가실분 모십니다^^

손맛 입맛 제대로 책임지겠습니다

 

바다미녀 사냥하러 쭈~~욱 출동합니다

참돔타이라바 출조때만 맛볼수있는 블루만의 맛점!!!

푸짐하게 뼈까지 바삭바삭하게 튀긴 쏨뱅이 튀김

블루로 맛점하러오세요~~^^

 

초보자분들 대환영//소수인원으로도 기상이 허락하면 무조건 출항합니다


참돔 16석으로 개인자리 간격 타선사보다 넓습니다

선장님 사무장님 오랜경력으로 열심히달려 보답하겠습니다

많은 관심 부탁드립니다

문의전화:010-5124-3517(선장님)


 

 

★★4월달 참돔타이라바//5월6월7월 한치출조 예약받습니다★★
 
서둘러 예약창 클릭!!!!전화문의도 언제든지주세요~~~

한치갈치 예약창 오픈//아래쪽 홈페이지 예약창 눌러주세요



★홈페이지 실시간 예약현황★



★블루호 밴드로 초대합니다★

  

 

*24년형 1월생 신조선 9.77t(22인승)

*최단거리 포인트도착(시즌 1시간내외 거리)

*자리 추첨제(2일차 자리 우선권)

*1인1매트(자리번호와동일)

*개인간격 널널하고 깨끗하고 편안한 낚시제공

*전문적인 낚시가이드(사무장님)항시대기

*초보자분도 1대1로 개인강습 부담없이 오시면됩니다

*갓지은밥과 뜨끈뜨끈한국//즉석 생선튀김//그리고 푸짐한반찬으로
선상에서 즐기는 즐거운 점심식사

*조식으로 칼칼한 오뎅탕 준비되어 있습니다


 
전화 예약문의:010-6537-8077

선장님 직통:010-5124-3517


배타는곳:거제시 일운면 지세포 관광유람선

                                 (해양레포츠센터쪽 주차장이용)





                                                                    
KakaoTalk_20260315_170203473_04.jpg


KakaoTalk_20260315_170203473_03.jpg


KakaoTalk_20260315_170203473_08.jpg


KakaoTalk_20260315_170203473_06.jpg


KakaoTalk_20260315_170203473_07.jpg


KakaoTalk_20260315_170203473.jpg


KakaoTalk_20260315_170203473_01.jpg


KakaoTalk_20260315_170203473_05.jpg


KakaoTalk_20260315_170203473_09.jpg


KakaoTalk_20260315_170203473_10.jpg


KakaoTalk_20260315_170203473_11.jpg


KakaoTalk_20260315_170203473_12.jpg




*** 거제 블루호 예약 안내 ***


예약문의 : 010-6537-8077

오시는길 : 경남 거제시 일운면 지세포관광유람선 (해양레포츠센터쪽 주차장이용)

모바일.jpg 


40.jpg


 

Top